The Meadows at Nightingale
Andover, MN
Overview
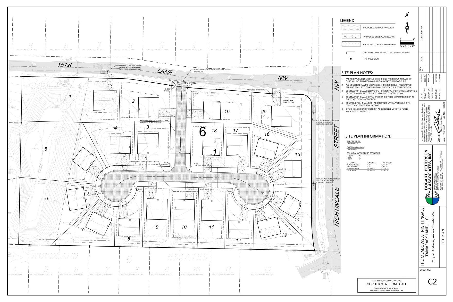
Started and finished in 2021, the Meadows at Nightingale added 20 lots for single-family homes to this popular area. The 10-acre development was crafted to fit in with established homes in the area and is conveniently located near Andover schools. Dane Allen Homes is offering beautiful styles of homes in Meadows at Nightingale.
project start
Spring 2021
total acres
10
property Type
Single-family homes
Number of lots
20
Additional Information
project video




