Leesburg, FL

Overview

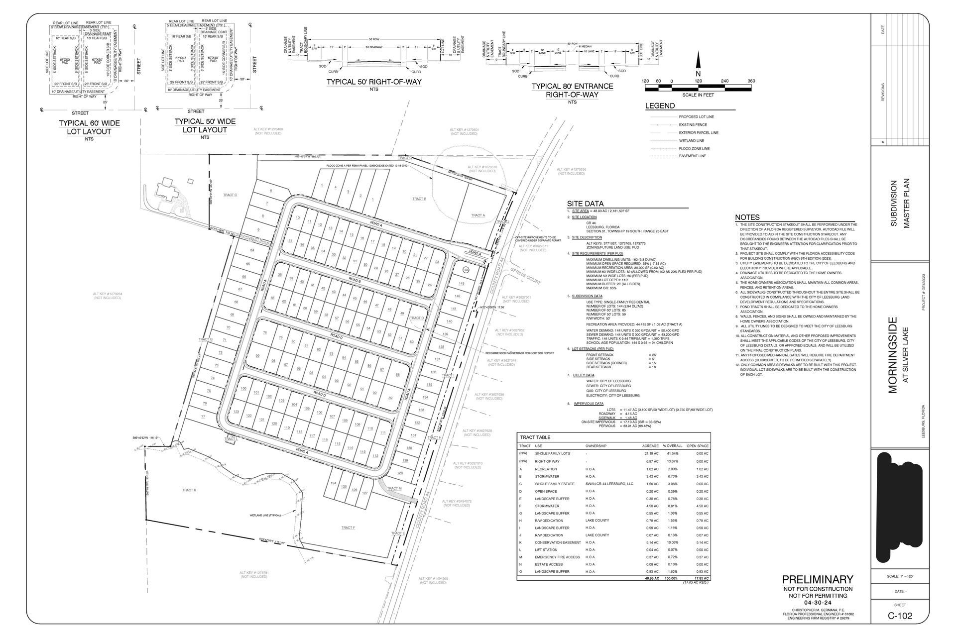
Located in Leesburg, FL, Morningside is a collaboration with Ryan Homes. The neighborhood's playground and dog park will be enjoyed by residents of the 144 new single-family homes that will be built.

Calendar with a plus sign, likely for adding an event.

Project Start

June 2025

Hills with grass and two small trees.

Total Acres

49

Morningside

Construction Partner

Black and white line drawing of a building with a house-like structure connected to a tall building.

Property Type

Townhomes

Houses along intersecting streets.

Number of Lots

144

Additional Information

Blueprint with ruler and pencil, architectural design icon.

Plan Set

Map with a location pin.

Location