Lewes, DE

Overview

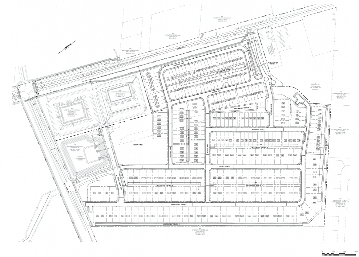
Started in September 2024, Mitchells Corner is located in the picturesque town of Lewes, Delaware. Amenities include a clubhouse, splash park, pickleball courts, pool, and fitness center. Lewes Beach is only a short drive away. Mitchells Corner was built in partnership with K Hovnanian Homes.

Calendar with a plus sign, likely for adding an event.

Project Start

January 2025

Hills with grass and two small trees.

Total Acres

Mitchells Corner

Construction Partner

Black and white line drawing of a building with a house-like structure connected to a tall building.

Property Type

Townhomes

Houses along intersecting streets.

Number of Lots

260

Additional Information

Blueprint with ruler and pencil, architectural design icon.

Plan Set

Map with a location pin.

Location